Étiquette : Ouragan Irma

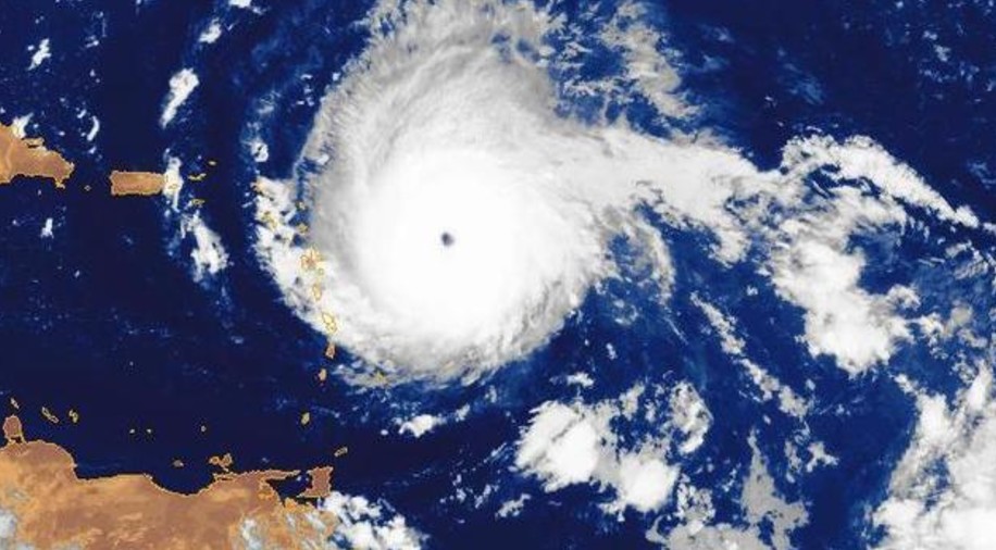
IRMA devient un ouragan de catégorie 5, soit le niveau maximal

IRMA a été classé en ouragan de catégorie 5, par les services…

Rédaction ZayActu
Téléchargez ZayActu
Android & iPhone · Gratuit
Résumé de la politique de confidentialité

Ce site utilise des cookies afin que nous puissions vous fournir la meilleure expérience utilisateur possible. Les informations sur les cookies sont stockées dans votre navigateur et remplissent des fonctions telles que vous reconnaître lorsque vous revenez sur notre site Web et aider notre équipe à comprendre les sections du site que vous trouvez les plus intéressantes et utiles.