Étiquette : Ouragan José

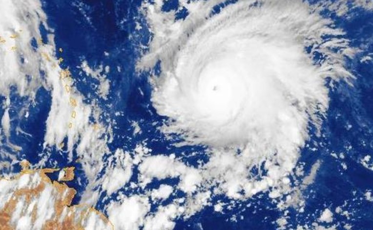
José devient un ouragan « MAJEUR » de catégorie 3

L'ouragan José se renforce très vite, quelques heures après avoir été classé…

Rédaction ZayActu
Téléchargez ZayActu
Android & iPhone · Gratuit
Résumé de la politique de confidentialité

Ce site utilise des cookies afin que nous puissions vous fournir la meilleure expérience utilisateur possible. Les informations sur les cookies sont stockées dans votre navigateur et remplissent des fonctions telles que vous reconnaître lorsque vous revenez sur notre site Web et aider notre équipe à comprendre les sections du site que vous trouvez les plus intéressantes et utiles.